
Reason for Stranding
Patient History
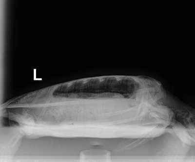
4.55kg juvenile Atlantic Green
Patient Injuries
Flippers: Broken nail on Right rear flipper, Algae build up on soft tissue of rear flippers
Patient Treatments
Ways to help Kay's Recovery
Adopt Kay
One of the three primary missions at Sea Turtle, Inc. is rehabilitation. We work hard to rescue and return every sea turtle back to the wild. Proceeds from this adoption will go directly to purchase needed medical supplies, veterinary exams, x-rays, food and general care for our rehab turtles.
For more information please visit our Adoption Options in our Shopify Store.
Support Us
Sea Turtle, Inc. is dependent on donations to fund our mission; we do not receive any governmental support. Because Sea Turtle, Inc. is a non-profit 501(C)(3), your contributions are tax deductible. We thank you for your support!
Meet More Patients
Subscribe to our Quarterly newsletter












